大阪市浪速区久保吉1丁目貸工場132万円

132万円 (0.94万円/坪) 管理/共益費 -

大阪府大阪市浪速区久保吉1丁目

南海汐見橋線「芦原町」駅徒歩3分

価格
132万円(0.94万円/坪) 管理/共益費 -
建物面積
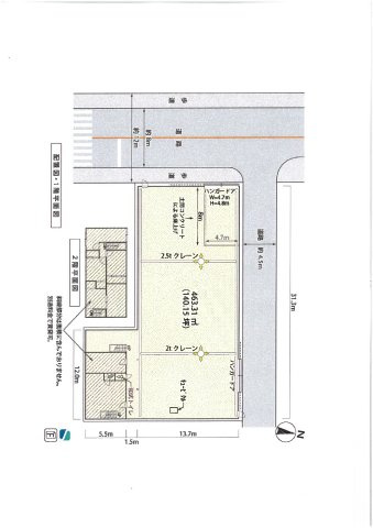
140.15坪(463.31㎡)
所在地
大阪府大阪市浪速区久保吉1丁目
築年
1968年1月(築58年)
駐車
交通

南海汐見橋線芦原町」駅 徒歩3分

大阪市浪速区久保吉1丁目貸工場132万円の基本情報

物件名
大阪市浪速区久保吉1丁目貸工場132万円
価格
132万円(0.94万円/坪)
管理/共益費
-
築年月
1968年1月(築58年)
所在地
大阪府大阪市浪速区久保吉1丁目
交通

南海汐見橋線芦原町」駅 徒歩3分

大阪市浪速区久保吉1丁目貸工場132万円の詳細情報

設備条件
設備(その他)
    ※2.5tクレーン1基 2tクレーン1基あり※ クレーンレール下高さ5mあり※電気引き込み有(キュービクル設置あり。)
駐車場/月額
無/-
用途地域
準工業
取引態様
仲介

大阪市浪速区久保吉1丁目貸工場132万円で募集中の物件

  1. 140.15坪 (463.31㎡)

    132万円(0.94万円/坪)

近隣の物件

  1. 大阪市浪速区久保吉1丁目

    143.39坪 (474.03㎡)

    110万円(0.77万円/坪)

大阪市浪速区久保吉1丁目貸工場132万円

お気軽にお問い合わせください

無料お問い合わせ

ネットワークジャパン株式会社

06-6655-1722

営業時間9:30~18:30

(休:定休日:土曜日・日曜日・祝日)